12 de janeiro de 2026

Cascavel

Fale conosco

Cotidiano

Pesquisadores descobrem vulcão submarino com a maior erupção já documentada

Além de moldarem a superfície da Terra, as atividades vulcânicas fornecem algumas pistas sobre o que acontece nas camadas mais internas...

Pesquisadores descobrem vulcão submarino com a maior erupção já documentada
© SOT

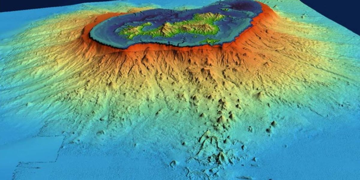
Em 2018, uma intensa atividade vulcânica foi detectada próxima à ilha de Mayotte, localizada entre a costa oriental da África e o extremo norte de Madagascar. Agora, uma pesquisa liderada pela Universidade de Paris apresenta, com riqueza de dados, uma maciça estrutura vulcânica de 820 metros de altura a uma profundidade de 55 km. Segundo os pesquisadores, esta é a maior erupção submarina ativa já documentada.

Além de moldarem a superfície da Terra, as atividades vulcânicas fornecem algumas pistas sobre o que acontece nas camadas mais internas do planeta, como é o caso da astenosfera, o manto derretido logo abaixo da litosfera — ou a crosta terrestre. No entanto, pouco se sabe sobre como o magma escapa de uma camada para outra. O novo “edifício” vulcânico é considerado parte de uma estrutura tectônica entre as fendas da África Ocidental e de Madagascar, oferecendo uma oportunidade para entender tal processo.

Em 2018, a intensa atividade vulcânica que abalou a ilha de Mayotte foi detectada a cerca de 50 km da costa e, desde então, instituições locais enviaram uma equipe de pesquisa para analisar o evento. Os pesquisadores começaram a monitorar a região fevereiro de 2019 através de um sonar multifeixe, mapeando uma área de 8.600 km quadrados do fundo do mar. Além disso, eles instalaram uma rede de sismômetros a uma profundidade de 3,5 km.

De fevereiro a maio de 2019, o sistema detectou 17 mil eventos sísmicos a uma profundidade de 20 a 50 km — o que já foi incomum, pois a maioria dos terremotos acontece mais próximo à superfície. Ainda, outros 85 eventos foram detectados em frequências bem baixas. A partir dos dados, a equipe liderada pela geofísica Nathalie Feuillet, da Universidade de Paris, conseguiu reconstruir a possível formação do vulcão marinho.

Segundo Feuillet, um reservatório de magma na astenosfera teria sido o início da formação vulcânica. Ela explica que, abaixo da estrutura, processos tectônicos podem ter causado danos à litosfera, criando fissuras pelas quais o magma subiu pela crosta até alcançar as profundezas do oceano — a erupção produziu cerca 5 km cúbicos de lava e, assim, deu origem ao vulcão.

O estudo também indica que o volume liberado pela estrutura é entre 30 a 1.000 vezes maior do que outras erupções marinhas, o que torna a erupção do novo vulcão a mais significativa já registrada. "Os volumes e fluxo de lava emitida durante o evento magmático de Mayotte são comparáveis ​​aos observados durante erupções nos maiores pontos quentes da Terra", acrescentam os pesquisadores no artigo.

A equipe acredita que, no futuro, possam ocorrer um novo colapso da caldeira e erupções marinhas na encosta superior da ilha e em terra, uma vez que grandes fluxos de lava pela encosta de Mayott indicam que essas atividades já ocorreram no passado. Um observatório foi instalado na região desde que o novo vulcão foi descoberto para acompanhar sua evolução. Vale destacar que o grande vulcão italiano, o Monte Etna, surgiu como um vulcão submarino e, hoje, seu pico atinge 3.357 metros de altura.

O resultado da pesquisa foi publicado em 26 de agosto deste ano, na revista Nature Geoscience.

/Via: Redação/ScienceAlert - Foto: Divulgação

Mais Lidas