04 de novembro de 2025

Cascavel

Fale conosco

Paraná

Controle do milho voluntário na cultura da soja

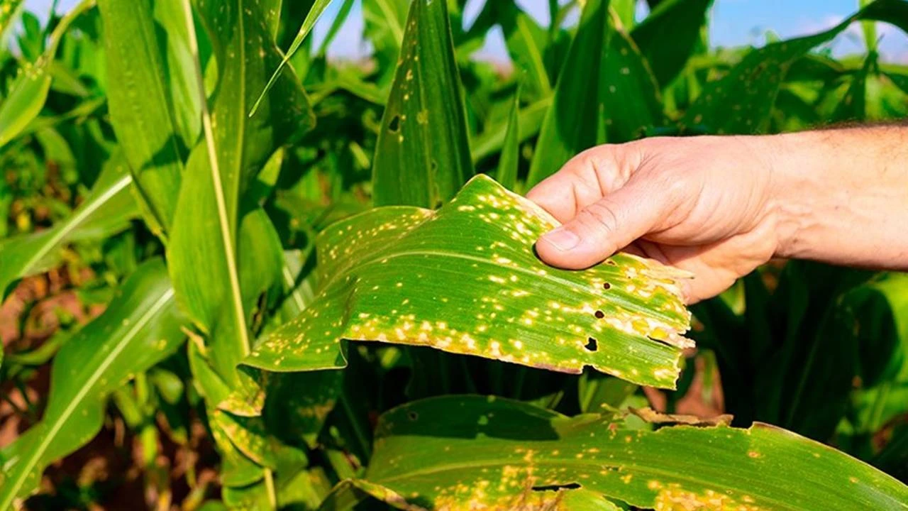
A cigarrinha é uma praga que impacta diretamente na segunda safra de milho e diante disso a equipe agronômica ...

Foto:

Com 86% da área a ser cultivada com a soja na região da Copacol já semeada, os produtores já devem ficar atentos aos manejos, em especial ao controle de plantas daninhas.

Um dos principais manejos neste início de ciclo da cultura, é o controle de milho voluntário, que são as plantas de milho que emergem em meio a soja, que além de interferir no desempenho da cultura, é um hospedeiro de pragas e doenças.

A cigarrinha é uma praga que impacta diretamente na segunda safra de milho e diante disso a equipe agronômica da Copacol está desenvolvendo ações junto aos produtores com o intuito de orientá-los quanto aos manejos adequados para eliminar o milho tiguera.

“A partir da emergência da soja já se deve eliminar as plantas de milho, que por um lado contribui com o bom desenvolvimento da soja, por outro, evita a aplicação de grandes doses de herbicida e permite mais performance no controle”, explica João Muricio Roy, pesquisador do CPA (Centro de Pesquisa Agrícola) da Copacol.

Segundo ele, o clima chuvoso dos últimos dias tem impedido os produtores de realizarem esses manejos, mas recomenda que assim que o clima se reestabelecer, os sojicultores devem entra a campo fazendo as aplicações, principalmente nas áreas que foram semeadas no mês de setembro.

“As plantas voluntárias de milho também se tornam hospedeiras dos patógenos que promovem doenças, em especial molicutes causadores dos enfezamentos vermelho e pálido, impossibilitando o crescimento e o enchimento da espiga”, destaca.

SEGUNDA SAFRA - Nas últimas décadas o milho segunda safra ganhou espaço na região oeste do Paraná, e os cooperados da Copacol encontraram na cultura a maior opção de produção e renda no campo no período do inverno. O milho é cultivado na maior parte da área de atuação da Cooperativa.

Um dos maiores desafios da última safra, que impactou na produtividade foi a grande infestação de cigarrinhas e o enfezamento, e diante disso a Cooperativa está realizando um trabalho preventivo de orientação aos produtores para evitar a contaminação da praga na próxima safra.

“Essas plantas funcionam como uma “ponte verde” pela qual o inseto atravessa de uma safra para outra, por isso o controle começa agora”, destaca.

A falta de controle eficiente destas plantas é um dos grandes responsáveis pelo aumento das infestações dessa praga e a eliminação do milho guaxo é uma forma preventiva de se evitar maiores consequências na safra de 2023, conta o pesquisador.

Por: SOT/Via: Assessoria Copacol - Foto: Divulgação - Foto:

Leia Também

Utilizamos cookies e outras tecnologias semelhantes para melhorar a sua experiência, de acordo com a nossa Política de Privacidade e, ao continuar navegando, você concorda com estas condições.