03 de maio de 2026

Cascavel

Fale conosco

Saúde

Festa com mais de duzentas pessoas é flagrada em posto de combustíveis de Salto do Lontra

Paraná - 23/02/2021 às 23:57

Festa com mais de duzentas pessoas é flagrada em posto de combustíveis de Salto do Lontra

O encontro reuniu jovens e pessoas mais velhas em um dos piores momentos da pandemia, quando não há mais vagas em leitos de UTI nas duas regionais de saúde próxima ao município....

Com protocolos de segurança, Zoológico de Cascavel é reaberto ao público

Cascavel - 23/02/2021 às 23:12

Com protocolos de segurança, Zoológico de Cascavel é reaberto ao público

Espaço ficará aberto de terça a sexta-feira, sempre das 10h às 17h....

Não é só a Covid-19: Saúde reforça orientações sobre cuidados sobre a "dengue"

Cascavel - 23/02/2021 às 23:10

Não é só a Covid-19: Saúde reforça orientações sobre cuidados sobre a "dengue"

Informe epidemiológico divulgado nesta terça-feira mostra que Cascavel contabiliza 1.687 casos suspeitos notificados com 82 confirmados....

“A decisão correta é parar a cidade”, diz Edson Souza sobre avanço da covid-19

Cascavel - 23/02/2021 às 23:09

“A decisão correta é parar a cidade”, diz Edson Souza sobre avanço da covid-19

Edson Souza destacou que já está havendo escolha de quem será priorizado no atendimento, diante do grande número da procura às unidades de saúde....

Retorno às aulas é adiado para o dia 3 de março em Cascavel

Cascavel - 23/02/2021 às 23:00

Retorno às aulas é adiado para o dia 3 de março em Cascavel

A Semed continuará monitorando a situação e nova avaliação e encaminhamento ocorrerão dia 2 de março (terça-feira), confirmando ou não o possível retorno no dia 3.....

Comitiva do Samu Noroeste visita instalações administrativas do Consamu

Cascavel - 23/02/2021 às 22:56

Comitiva do Samu Noroeste visita instalações administrativas do Consamu

A comitiva formada por Mauro Luitti (Coordenador Administrativo/Financeiro), Kesia Ribeiro (Coordenadora de Enfermagem), Rubia Pacheco....

Novo ato da Câmara prevê medidas de prevenção à Covid-19

Cascavel - 23/02/2021 às 22:49

Novo ato da Câmara prevê medidas de prevenção à Covid-19

Através do Ato da Presidência nº 16/2021, fica estabelecido, pelo prazo de quinze dias, o cancelamento de todas as atividades que envolvam público....

Homem que teve 45% do corpo queimado é transferido de helicóptero de Toledo a Londrina

Paraná - 23/02/2021 às 20:51

Homem que teve 45% do corpo queimado é transferido de helicóptero de Toledo a Londrina

O paciente foi transferido para o Hospital Universitário de Londrina, para ala especializada em queimados....

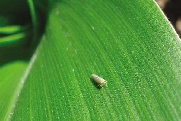
Pragas e Doenças: Cigarrinha é pesadelo aos produtores de milho

Cascavel - 23/02/2021 às 15:34

Pragas e Doenças: Cigarrinha é pesadelo aos produtores de milho

Relativamente nova no Oeste, a praga vem causando problemas graves nas lavouras da região.....

Anvisa concede registro definitivo para a vacina da Pfizer

Brasil - 23/02/2021 às 15:12

Anvisa concede registro definitivo para a vacina da Pfizer

A concessão do registro foi anunciada pelo diretor-presidente da agência reguladora, Antônio Barra Torres, que destacou que a análise para a liberação do imunizante levou 17 dias....